今日も北側のポイントに行ってきました。
早朝から鰹、グルクマの群れを見れたけど、残念なことに写真がありません
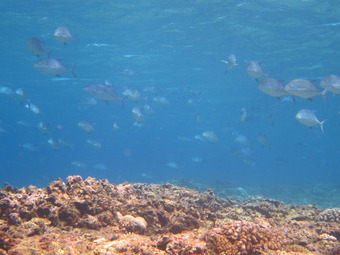
でも、3本目に見たカスミアジの群れはバッチリ
可愛らしいカサイダルマハゼ、写真を撮るのが難しいな~
あまり見かけないヒレボシミノカサゴ、ネッタイミノカサゴとツーショットです。
今日も北側のポイントに行ってきました。
早朝から鰹、グルクマの群れを見れたけど、残念なことに写真がありません
でも、3本目に見たカスミアジの群れはバッチリ
可愛らしいカサイダルマハゼ、写真を撮るのが難しいな~
あまり見かけないヒレボシミノカサゴ、ネッタイミノカサゴとツーショットです。


